O Kavşağa Trafiği Rahatlatacak Düzenleme

Malatya Büyükşehir Belediyesi, şehir içi ulaşımı daha güvenli, konforlu ve akıcı hale getirmek amacıyla kavşaklarda gerçekleştirdiği düzenleme çalışmalarına bir yenisini daha ekliyor.

Malatya Büyükşehir Belediyesi, şehir içi ulaşımı daha güvenli, konforlu ve akıcı hale getirmek amacıyla kavşaklarda gerçekleştirdiği düzenleme çalışmalarına bir yenisini daha ekliyor. 
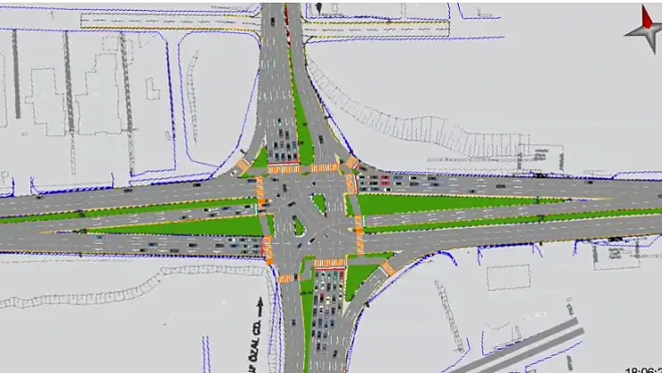
Çalışmalar kapsamında, Çöşnük Kavşağı’nda 20 Temmuz 2025 Pazar gecesinden itibaren Ulaşım Dairesi ve Yol Bakım ve Altyapı Koordinasyon Dairesi Başkanlıklarına bağlı ekiplerce eski SSK ve Bostanbaşı Kavşaklarındaki gibi geometrik düzenleme çalışması başlatılacak.
Çöşnük Kavşağında yapılacak düzenlemeyle birlikte kavşakta taşıt başına ortalama bekleme süresinin 83 saniyeden 48 saniyeye düşmesi ve böylece yüzde 42 oranında iyileşme sağlanması bekleniyor. Ayrıca, yıllık en az 207 bin litre yakıt tasarrufu ile karbon salınımında 3,8 tonluk bir azalma öngörülüyor.
Yapılacak düzenlemeyle birlikte araç kuyruklanmalarında da ciddi azalma hedefleniyor. Mevcut durumda 505 metreye kadar çıkan maksimum kuyruk uzunluğunun 205 metreye, ortalama kuyruklanmanın ise 116 metreden 21 metreye düşmesi planlanıyor.
Çöşnük Kavşağında yapılacak çalışmalar süresince kavşak içerisinden sola dönüşler geçici olarak kapatılacak. Vatandaşların ve sürücülerin mağduriyet yaşamamaları adına yönlendirme levhaları ile trafik ekiplerinin uyarılarına dikkat etmeleri büyük önem taşıyor.
Trafik güvenliği ve akıcılığı açısından büyük katkı sağlayacak bu çalışma en kısa sürede tamamlanarak hizmete sunulacak. Çevresel ve ekonomik faydanın sağlanacağı yeni düzenleme süresince sürücülerimizin göstereceği sabır ve anlayış için teşekkür ederiz.
 

Bakmadan Geçme